66488-CA
1875m2
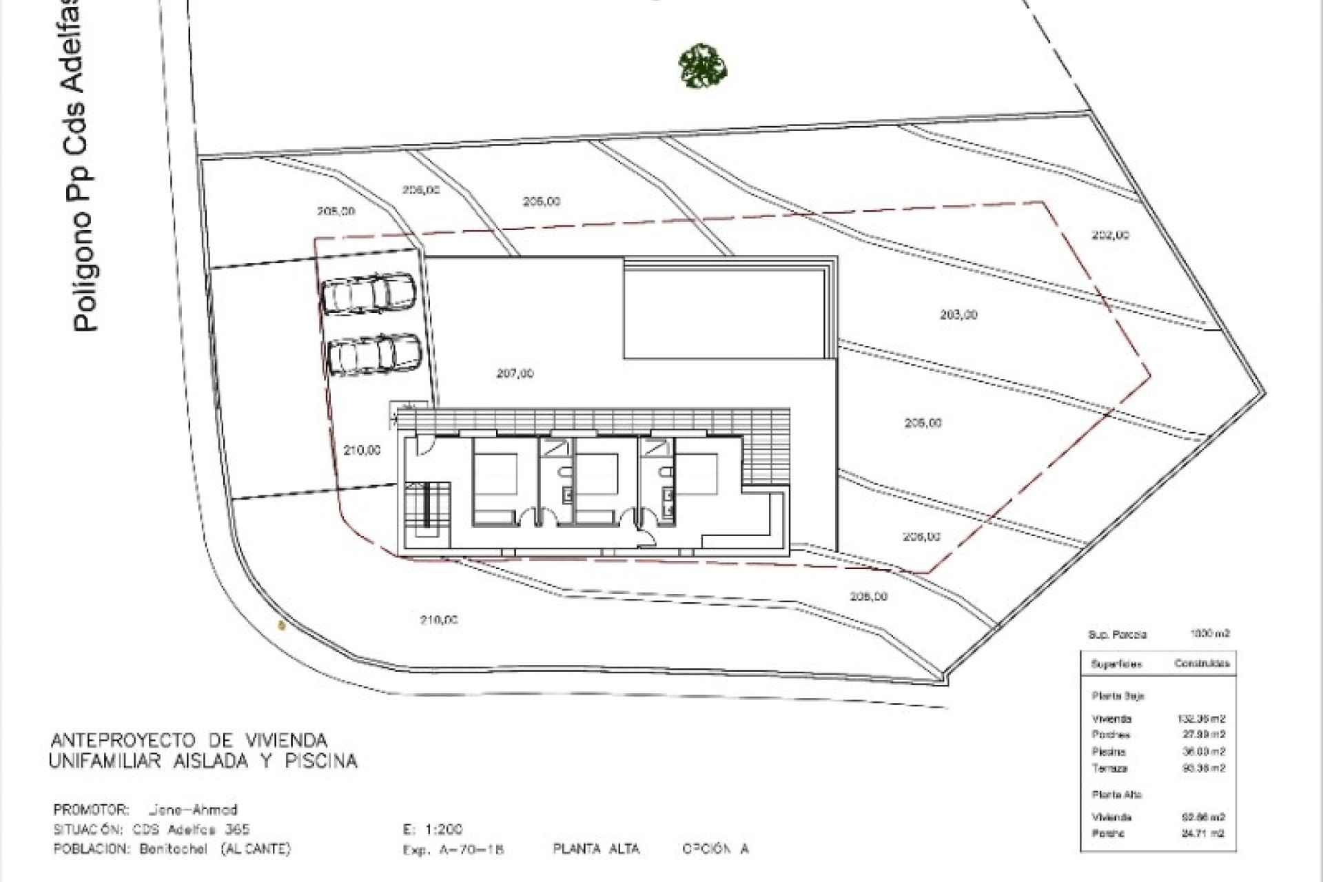
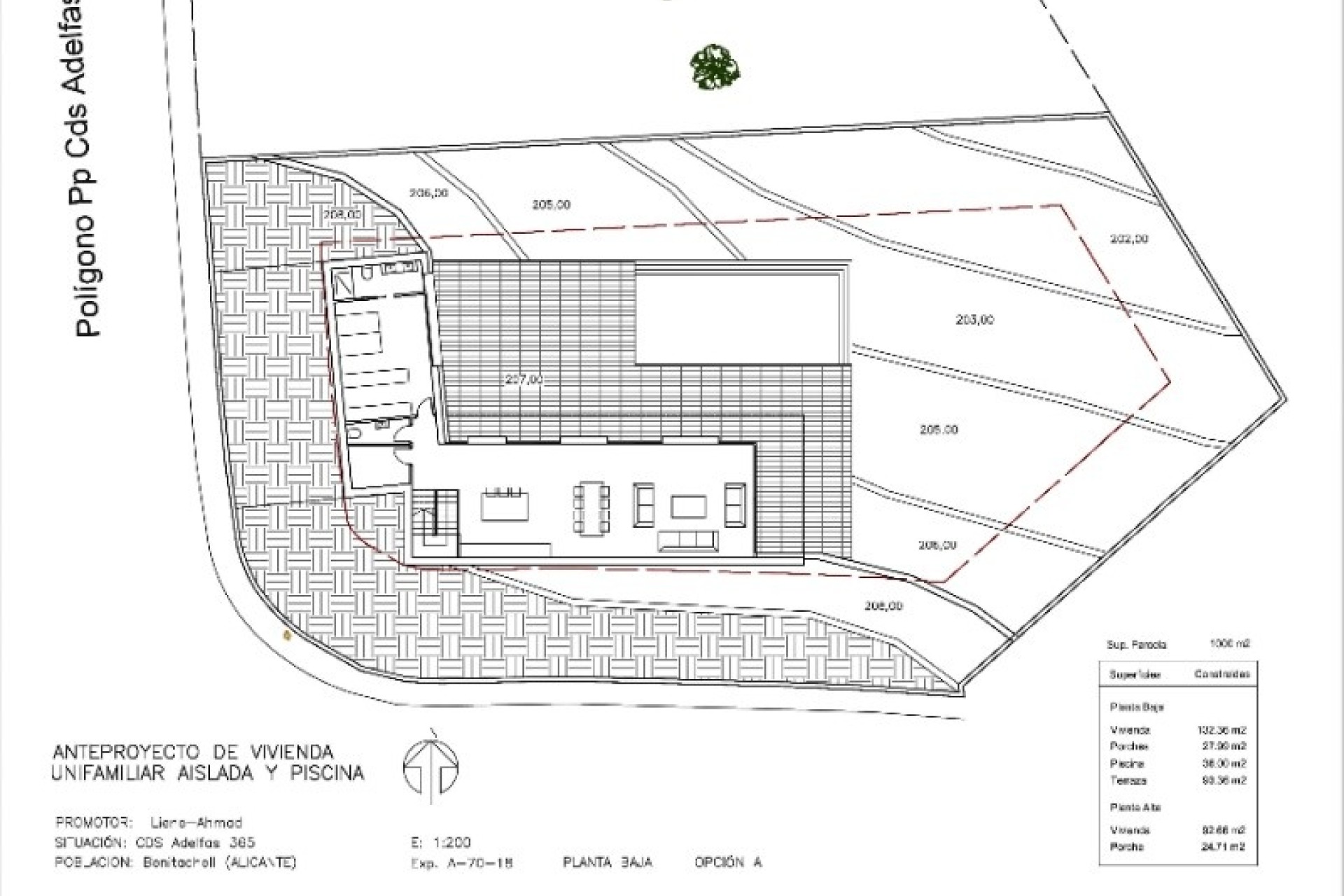
Large plot with sea views located in the Adelfas zone of Cumbre del Sol in Benitachell, walking distance to the local shopping centre and only a short drive to the local beach Cala Moraig. The plot could be subdivided to provide two separate building plots or kept as a large plot for one large luxury home. There is no builder obligation and both water and electricity are on site.
- Plans and villa design possibility included in the images- For further information please do not hesitate to contact us.- The Cumbre del Sol urbanization is located by the sea in the municipality of Benitachell, between the towns of Javea and Moraira, in the north of the Costa Blanca. In the urbanization there is a shopping center including an international supermarket, a pharmacy, hairdressers, a cafe and a restaurant with a swimming pool. There is a beach, Cala Moraig, which has a cafe during the summer months, paddle tennis courts, an equestrian center, an international school and a large green area suitable for walking or cycling. All the facilities you will need are available in the nearest town, Benitachell, or it is a short drive to the towns and beaches of Moraira and Javea. Flights are available from Alicante and Valencia airports with a driving time of 60 or 75 minutes.
- This is just one of the many Spanish properties that we have to offer on the Costa Blanca in the Alicante province. If you are looking for an apartment, townhouse, villa, new build villa, country house or a plot to build your own property, we have them all, and we also offer a property finder service to help you find the property that is perfect for you. If you cannot find what you are looking for on our website please contact us with your criteria and your budget and we will do our very best to assist you.